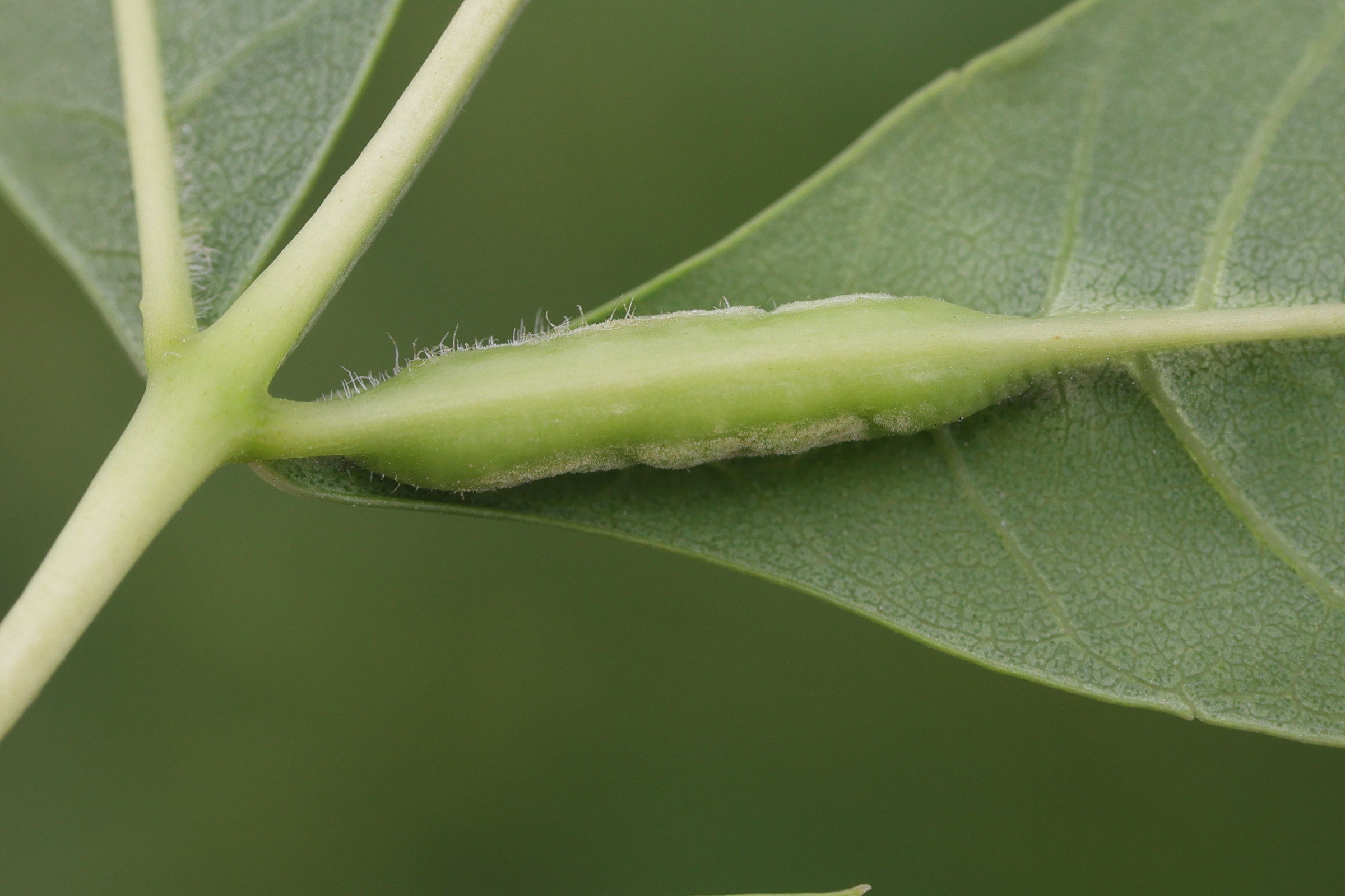
- induit une galle en forme de gousse : la foliole est entièrement ou seulement partiellement épaissie et repliée vers le haut sur la nervure médiane
- larves blanches, grégaires, nymphose dans le sol
- sur Fraxinus angustifolia (incl. ssp oxycarpa), F. americana, F. excelsior, F. ornus, F. pallisiae