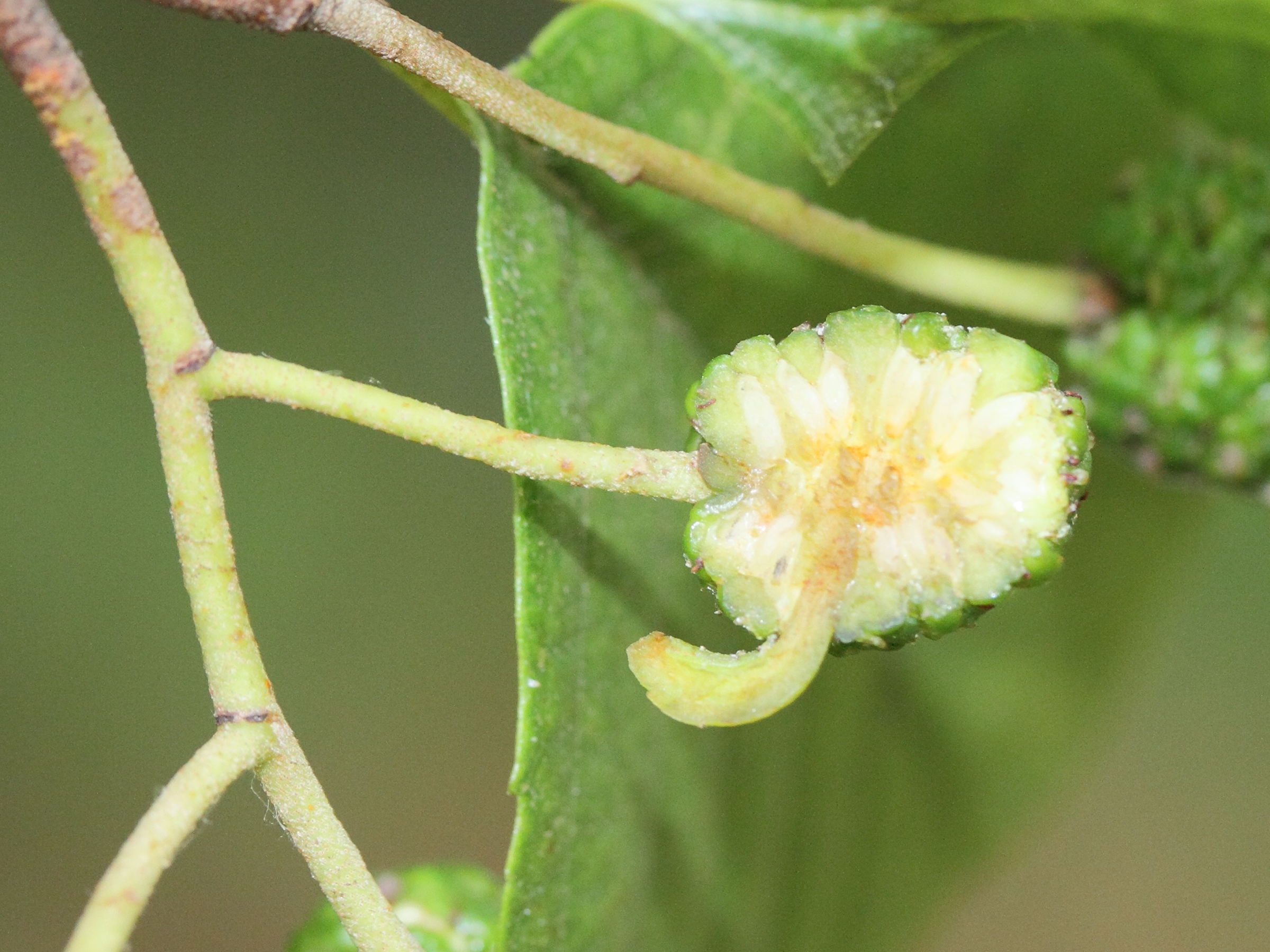
Taphrina alni (Galle du chaton de l'aulne)
FUNGI (FUNGI)
Ascomycota (Ascomycètes)
Taphrinomycetes (Taphrinomycètes)
Taphrinales (Taphrinales)
Taphrinaceae (Taphrinacées)
Taphrina (Taphrina)



