Afficher le menu
Sysbio
| Base de données de systématique
Rechercher sur le site
Rechercher
Accueil
Consultation
Banque d'images
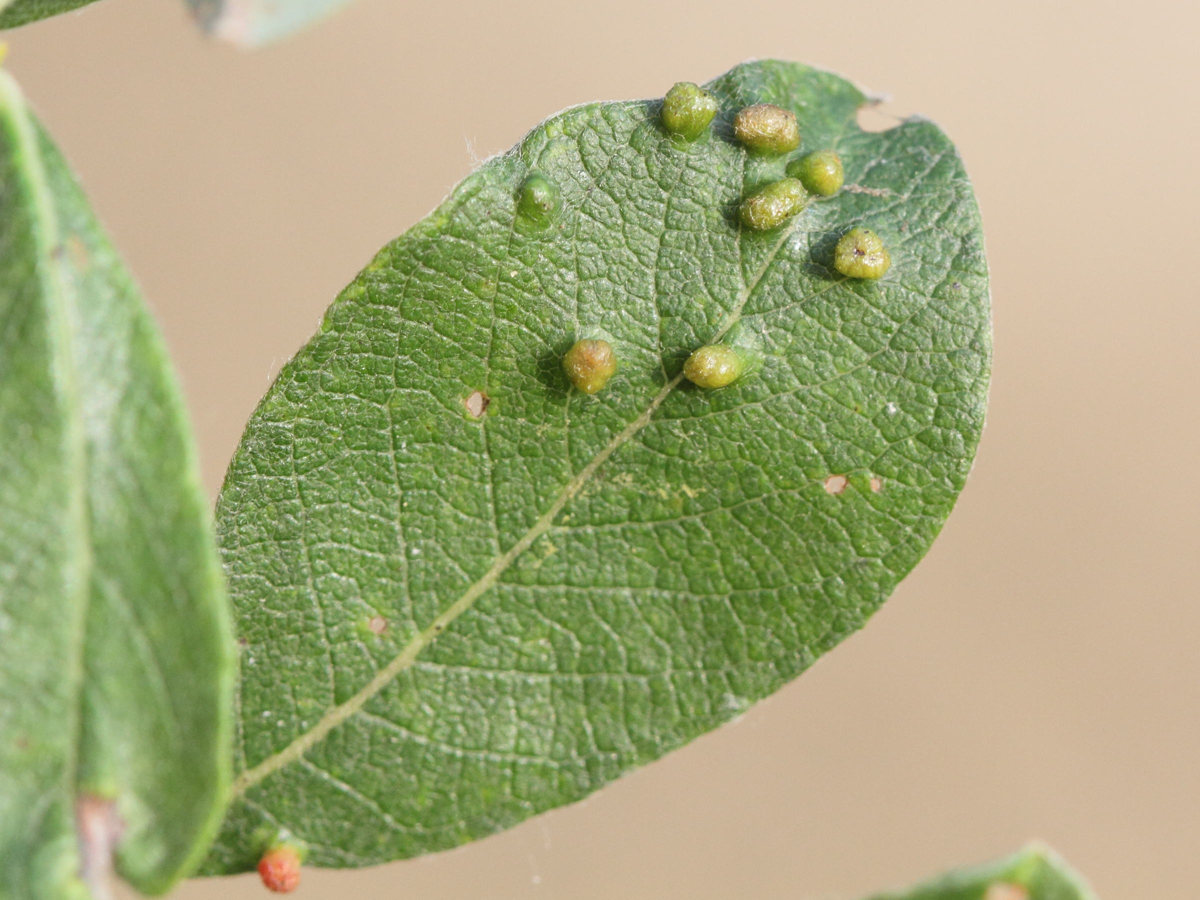
Iteomyia capreae
(Iteomyia, Galle du saule)
ANIMALIA
(ANIMALIA)
Arthropoda
(Arthropodes)
Insecta
(Insectes)
Diptera
(Diptères)
Cecidomyiidae
(Cécidomyiidés)
Iteomyia
(Iteomyia)
Médias
×
Fourni par
Fourni par
Télécharger l'image
Description
- sur divers Saules
- induit des galles en forme de pustules, uniloculaires
Milieu de vie
Terrestre -- Milieux humides
Mode de vie
Hétérotrophe -- Parasite
Présence Nord Pas-de-Calais
Présent
Iteomyia, Galle du saule
ANIMALIA
Arthropodes
Insectes
Diptères
Cécidomyiidés
Iteomyia
ANIMALIA
Arthropoda
Insecta
Diptera
Cecidomyiidae
Iteomyia
Image fournie par
Description
- sur divers Saules
- induit des galles en forme de pustules, uniloculaires
Milieu de vie
Terrestre -- Milieux humides
Mode de vie
Hétérotrophe -- Parasite
Présence Nord Pas-de-Calais
Présent