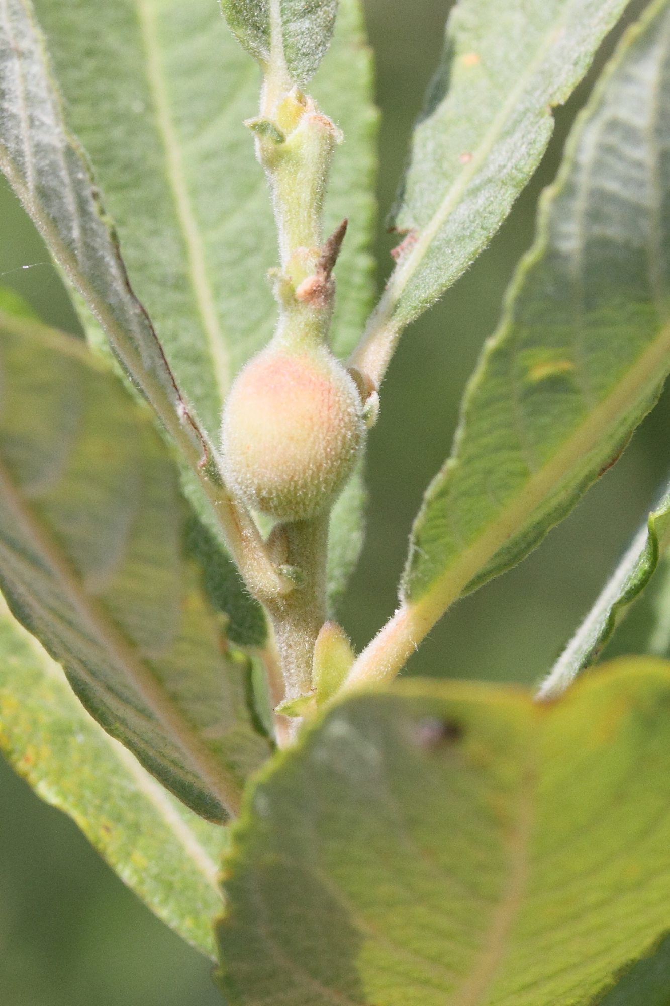
Rabdophaga clavifex (Galle en massue du saule)
ANIMALIA (ANIMALIA)
Arthropoda (Arthropodes)
Insecta (Insectes)
Diptera (Diptères)
Cecidomyiidae (Cécidomyiidés)
Rabdophaga (Rabdophaga)

