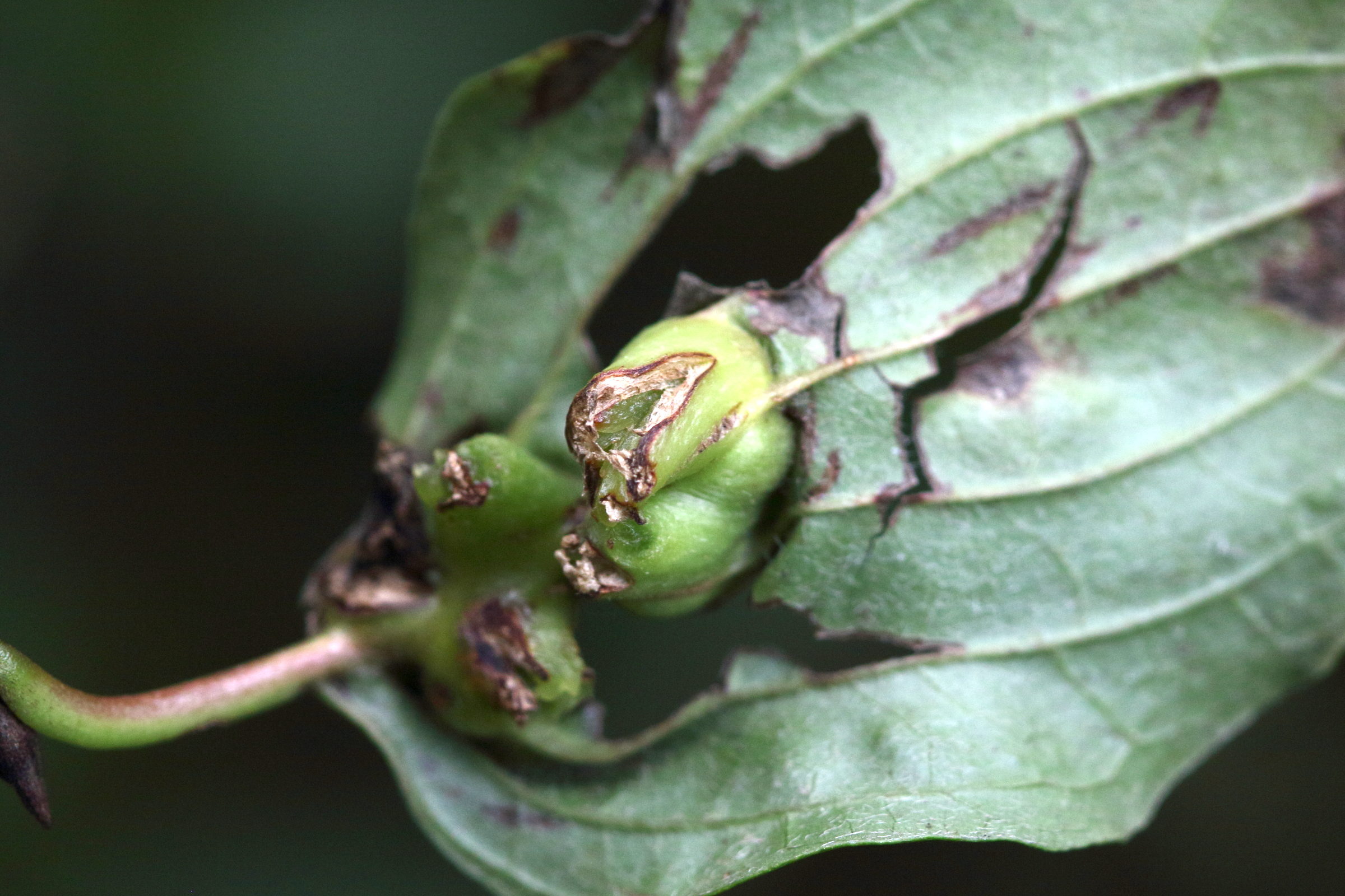
Craneiobia corni (Cécidomyie, Galle du cornouiller)
ANIMALIA (ANIMALIA)
Arthropoda (Arthropodes)
Insecta (Insectes)
Diptera (Diptères)
Cecidomyiidae (Cécidomyiidés)
Craneiobia (Cécidomyie)

