Afficher le menu
Sysbio
| Base de données de systématique
Rechercher sur le site
Rechercher
Accueil
Consultation
Banque d'images
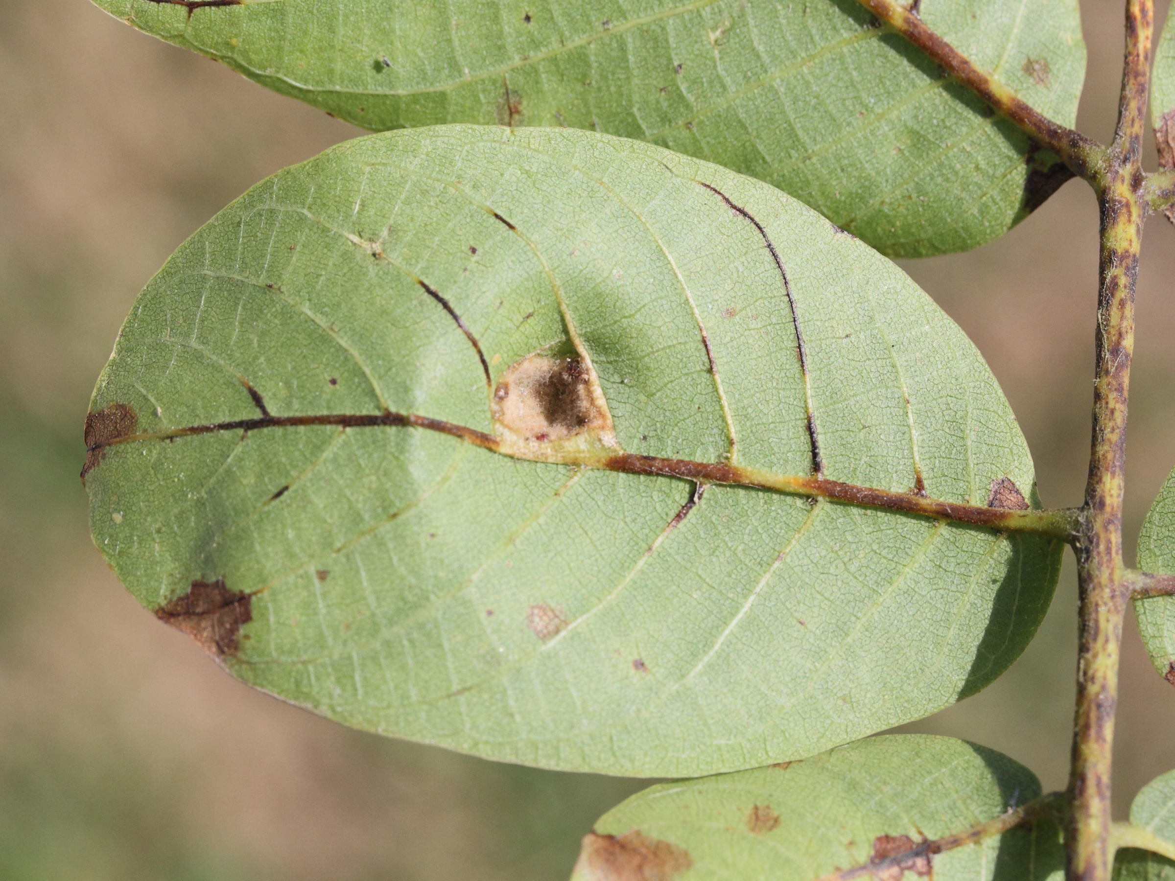
Aceria erinea
(Phytopte du noyer, Galle du noyer)
ANIMALIA
(ANIMALIA)
Arthropoda
(Arthropodes)
Arachnida
(Arachnides)
Acari
(Acariens)
Eriophyidae
(Eriophyidés)
Aceria
(Acarien)
Médias
×
Fourni par
Fourni par
Télécharger l'image
Description
- induit une galle foliaire sur le noyer (
Juglans regia
)
- Europe, Proche-orient
Milieu de vie
Terrestre -- Bois et forêts
Mode de vie
Hétérotrophe -- Parasite
Présence Nord Pas-de-Calais
Présent
Phytopte du noyer, Galle du noyer
ANIMALIA
Arthropodes
Arachnides
Acariens
Eriophyidés
Acarien
ANIMALIA
Arthropoda
Arachnida
Acari
Eriophyidae
Aceria
Image fournie par
Description
- induit une galle foliaire sur le noyer (
Juglans regia
)
- Europe, Proche-orient
Milieu de vie
Terrestre -- Bois et forêts
Mode de vie
Hétérotrophe -- Parasite
Présence Nord Pas-de-Calais
Présent