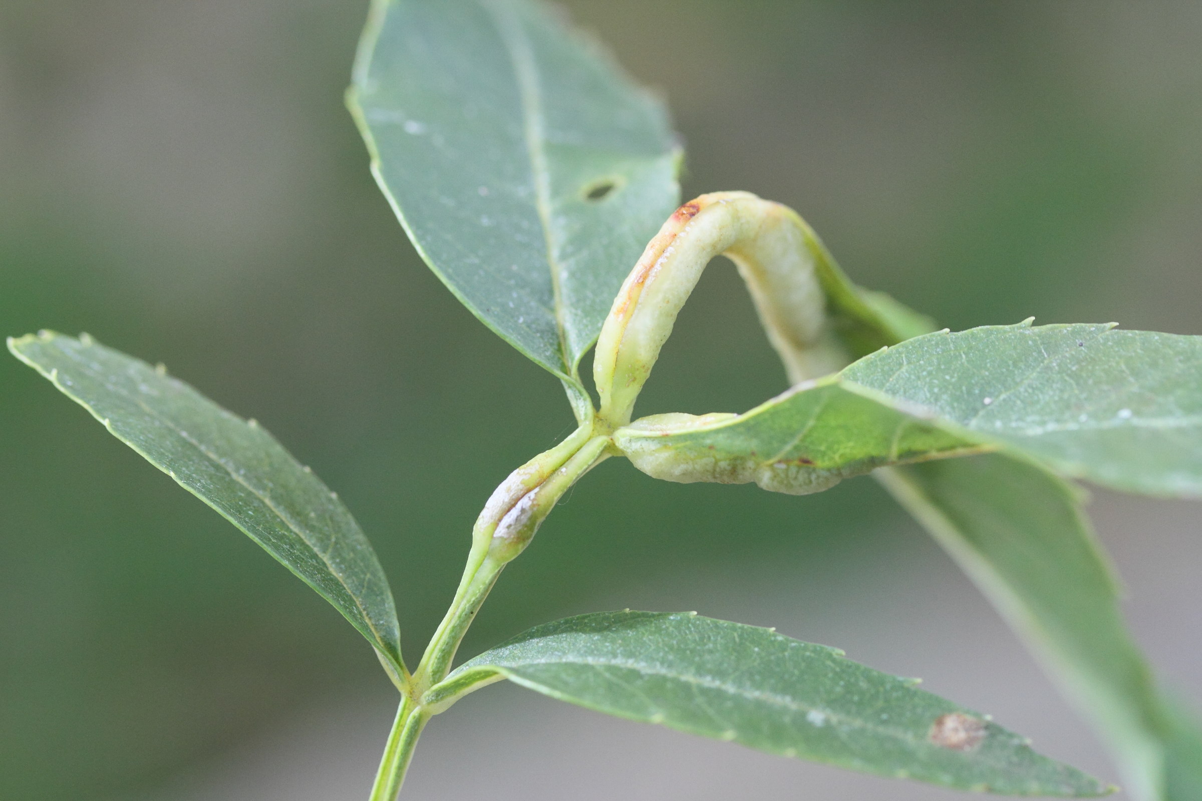
- induit une galle en gousse (5 à 30 cm de long) sur la nervure centrale des folioles ou le pétiole des feuilles de Fraxinus excelsior et des espèces voisines
- larve jaune, une par galle
Milieu de vie
Terrestre -- Bois et forêts
Mode de vie
Hétérotrophe -- Parasite
Présence Nord Pas-de-Calais
Présent
Dasineura, Galle du frêne
ANIMALIA
Arthropodes
Insectes
Diptères
Cécidomyiidés
Dasineura
ANIMALIA
Arthropoda
Insecta
Diptera
Cecidomyiidae
Dasineura
Image fournie par
Description
- induit une galle en gousse (5 à 30 cm de long) sur la nervure centrale des folioles ou le pétiole des feuilles de Fraxinus excelsior et des espèces voisines