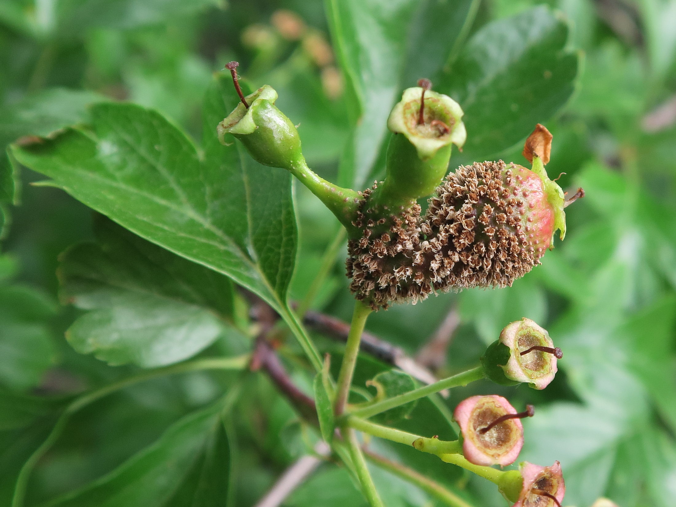
Gymnosporangium clavariiforme (Gymnosporangium clavé)
FUNGI (FUNGI)
Basidiomycota (Basidiomycètes)
Pucciniomycetes (Pucciniomycètes)
Pucciniales (Pucciniales)
Pucciniaceae (Pucciniacées)
Gymnosporangium (Gymnosporangium)


