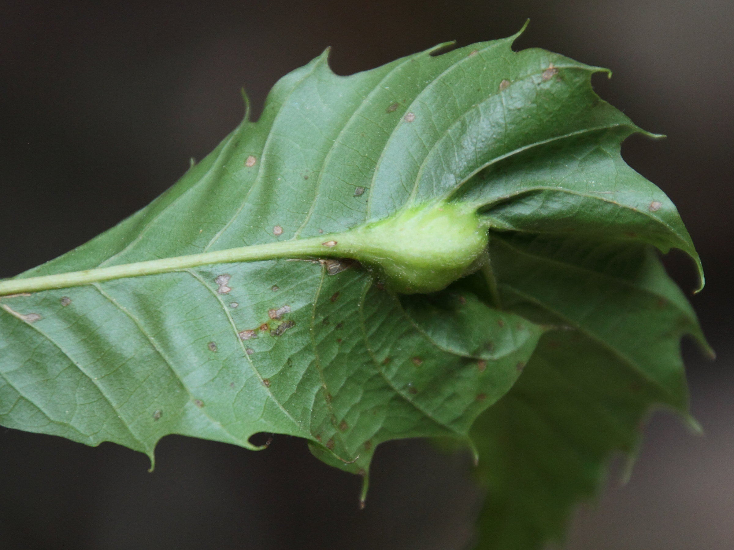
Dryocosmus kuriphilus (Cynips du châtaignier, Galle du châtaignier)
ANIMALIA (ANIMALIA)
Arthropoda (Arthropodes)
Insecta (Insectes)
Hymenoptera (Hyménoptères)
Cynipidae (Cynipidés)
Dryocosmus (Cynips)







