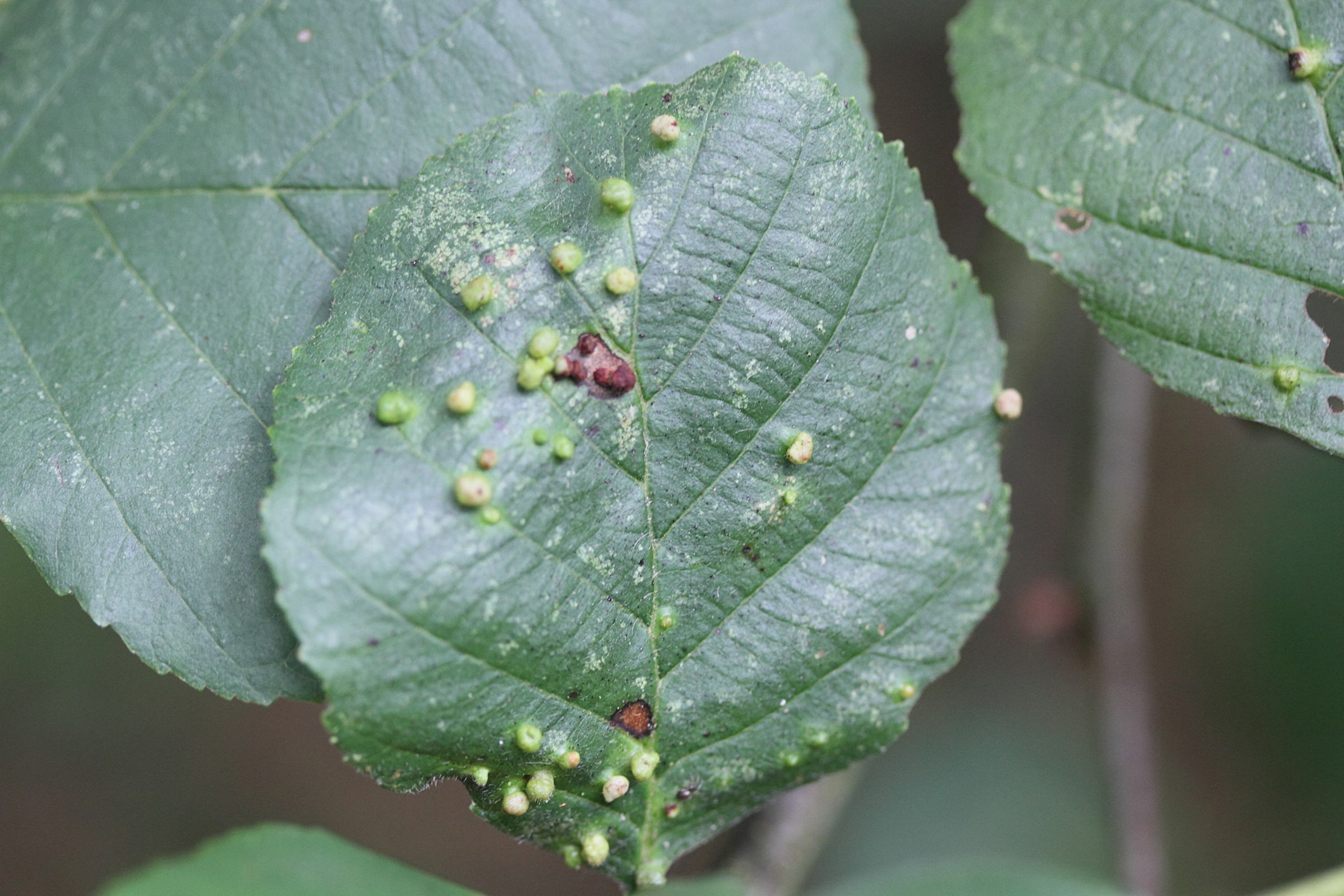
Eriophyes laevis (Phytopte du lilas, Galle de l'aulne glutineux)
ANIMALIA (ANIMALIA)
Arthropoda (Arthropodes)
Arachnida (Arachnides)
Acari (Acariens)
Eriophyidae (Eriophyidés)
Eriophyes (Acarien)




