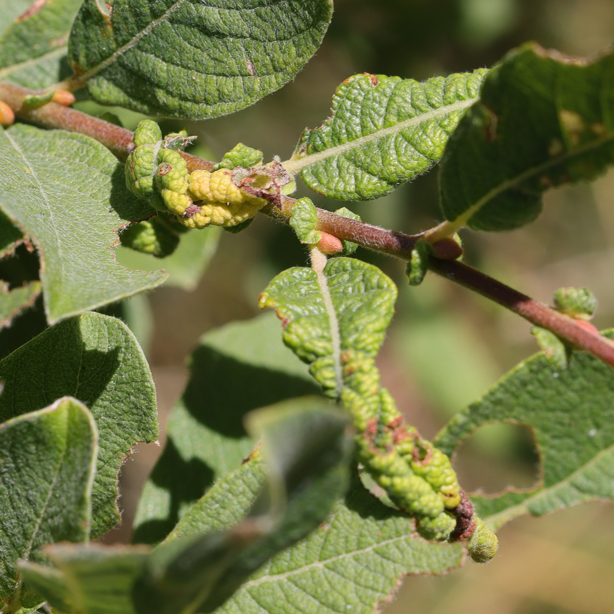
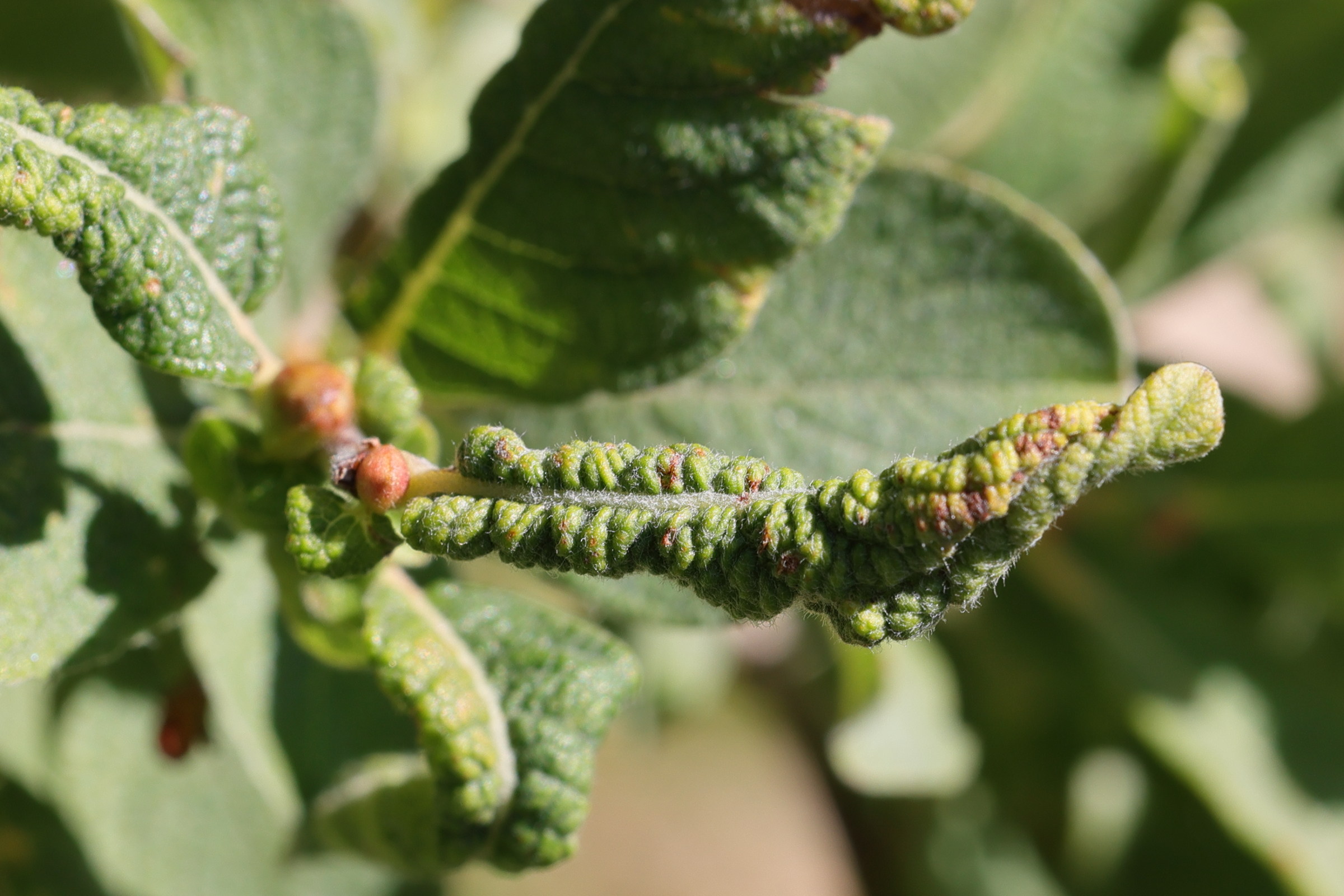
Euura leucaspis (Tenthrède, Galle du saule)
ANIMALIA (ANIMALIA)
Arthropoda (Arthropodes)
Insecta (Insectes)
Hymenoptera (Hyménoptères)
Tenthredinidae (Tenthrédinidés)
Euura (Tenthrède)



