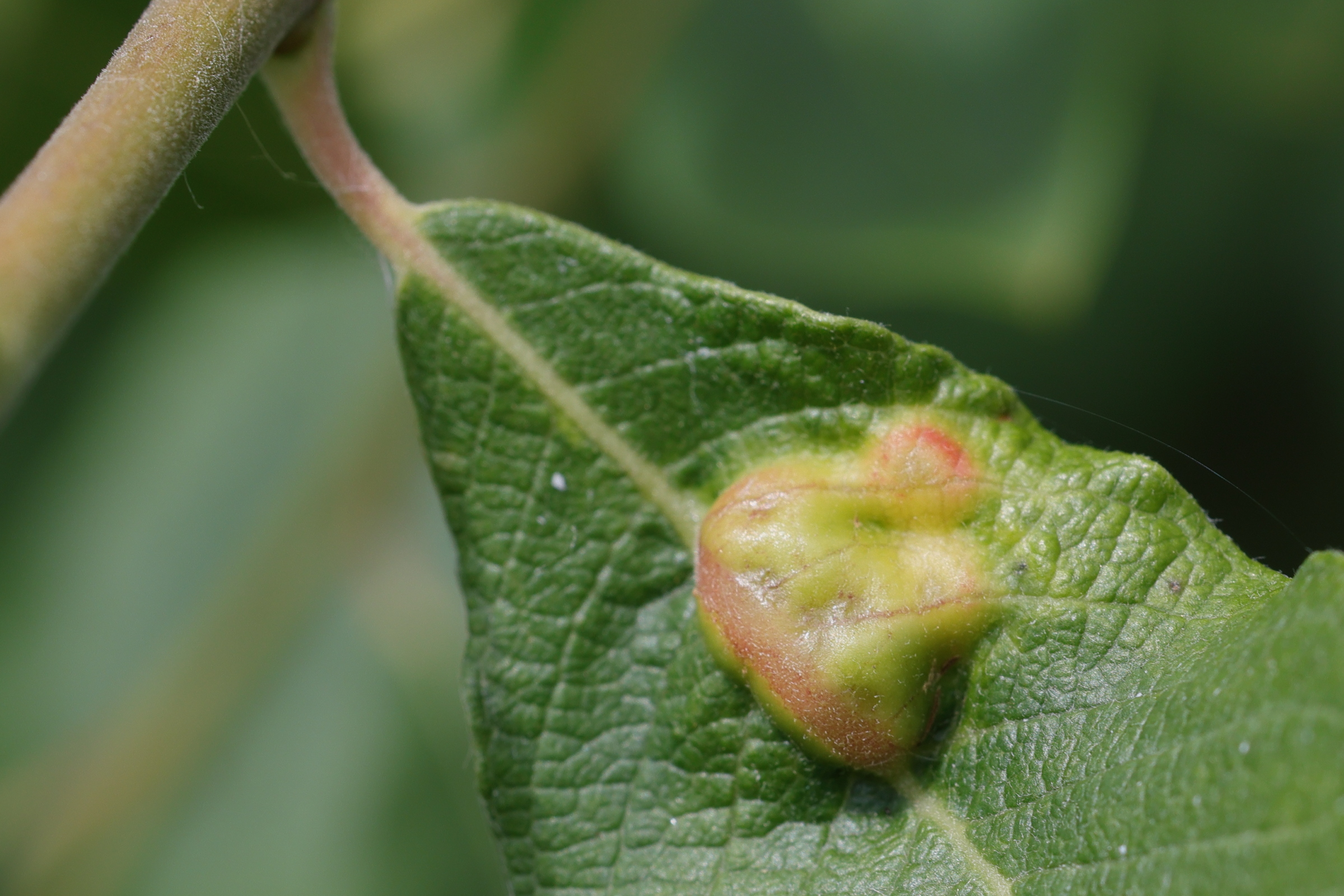
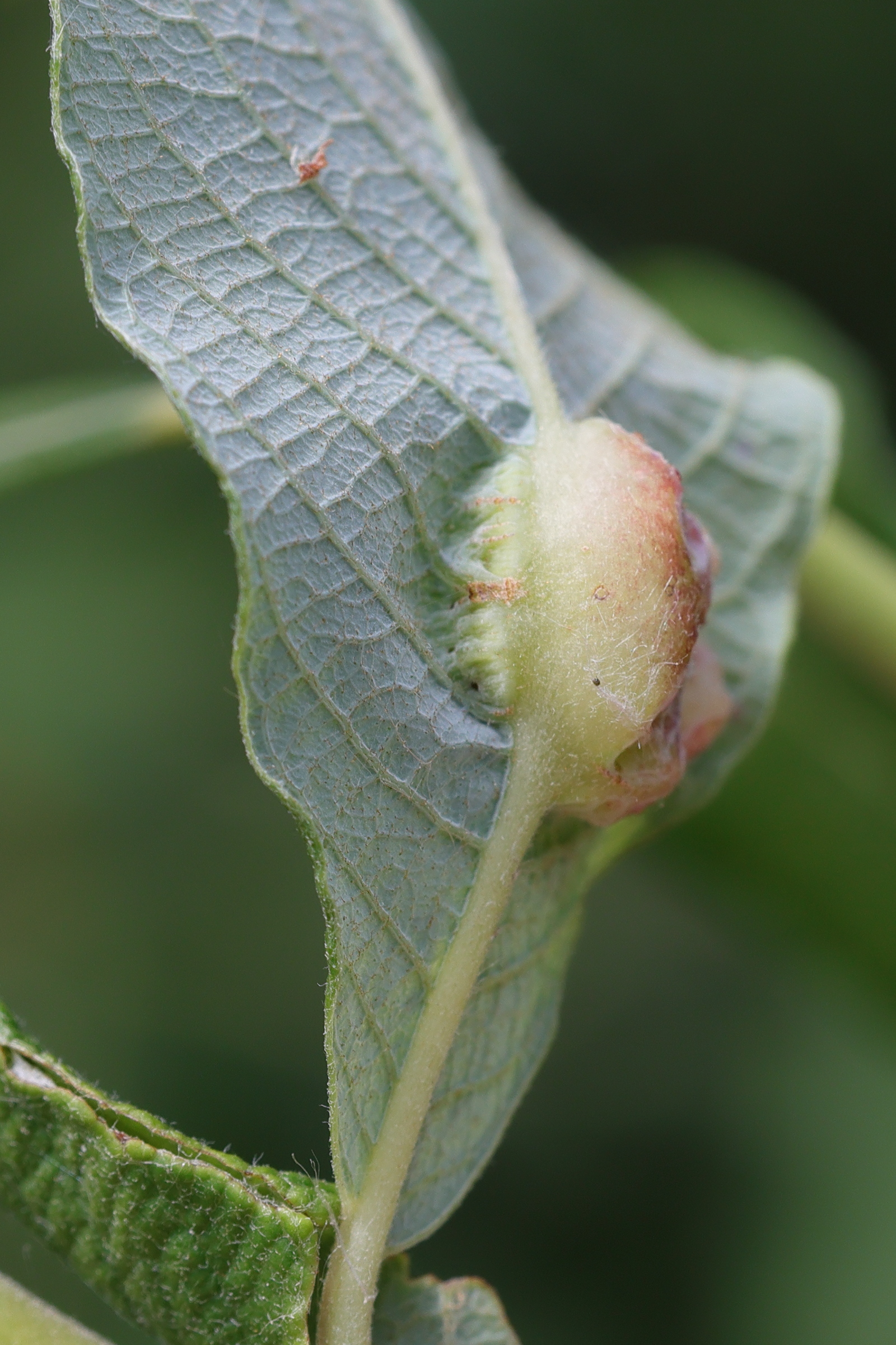
- galle foliaire bilatérale (dessus et dessous de la feuille), pluriloculaire sur Salix cinerea et espèces voisines - galle coriace, larves orange pâle
Milieu de vie
Terrestre -- Milieux humides
Mode de vie
Hétérotrophe -- Parasite
Présence Nord Pas-de-Calais
Présent
Iteomyia, Galle du saule
ANIMALIA
Arthropodes
Insectes
Diptères
Cécidomyiidés
Iteomyia
ANIMALIA
Arthropoda
Insecta
Diptera
Cecidomyiidae
Iteomyia
Image fournie par
Description
- galle foliaire bilatérale (dessus et dessous de la feuille), pluriloculaire sur Salix cinerea et espèces voisines - galle coriace, larves orange pâle