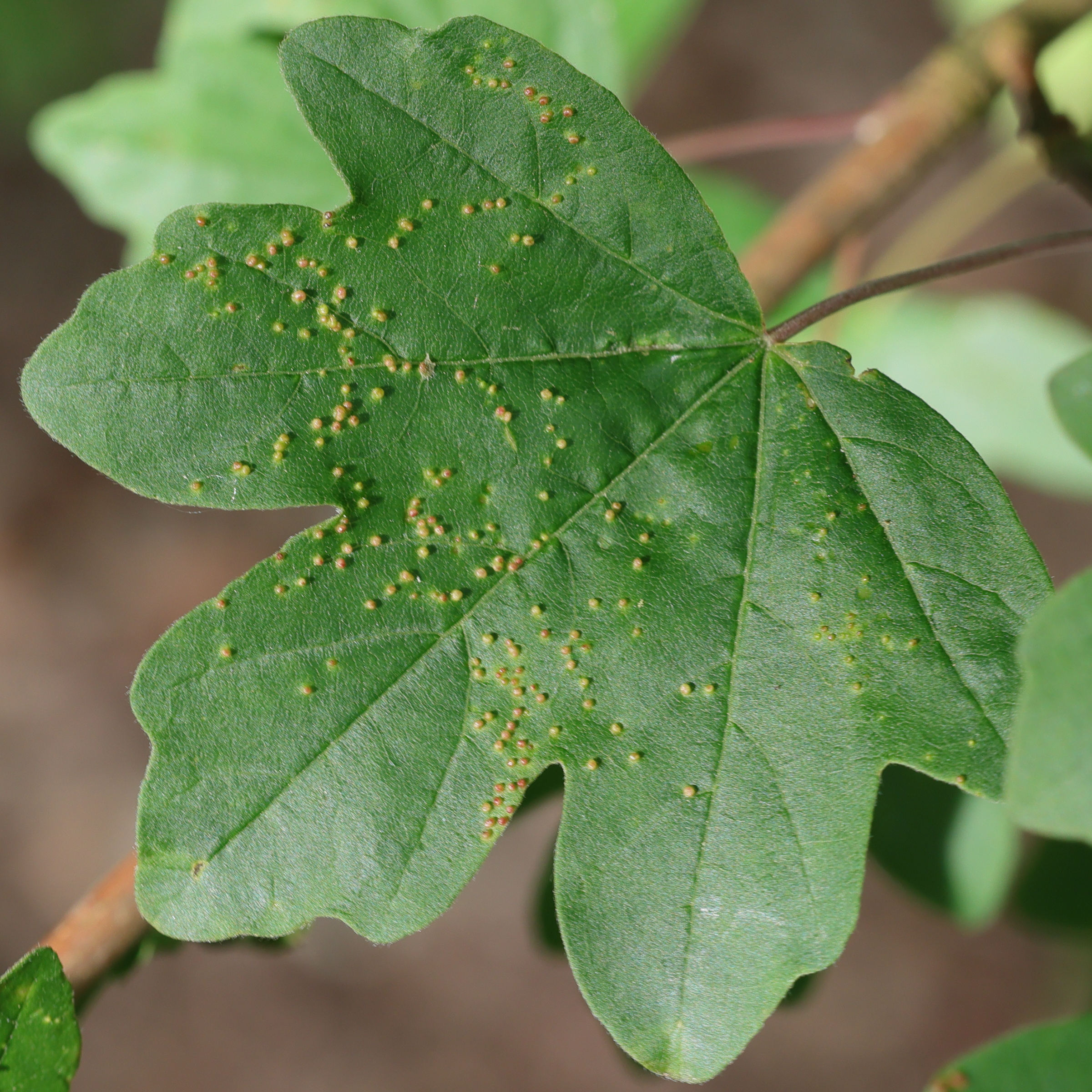
Aceria myriadeum (Acarien, Galle de l'érable champêtre)
ANIMALIA (ANIMALIA)
Arthropoda (Arthropodes)
Arachnida (Arachnides)
Acari (Acariens)
Eriophyidae (Eriophyidés)
Aceria (Acarien)


