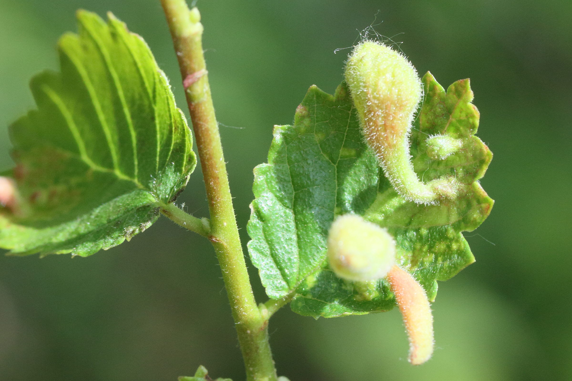
Tetraneura nigriabdominalis (Puceron, Galle de l'orme)
ANIMALIA (ANIMALIA)
Arthropoda (Arthropodes)
Insecta (Insectes)
Hemiptera (Hémiptères)
Aphididae (Aphididés)
Tetraneura (Puceron)

