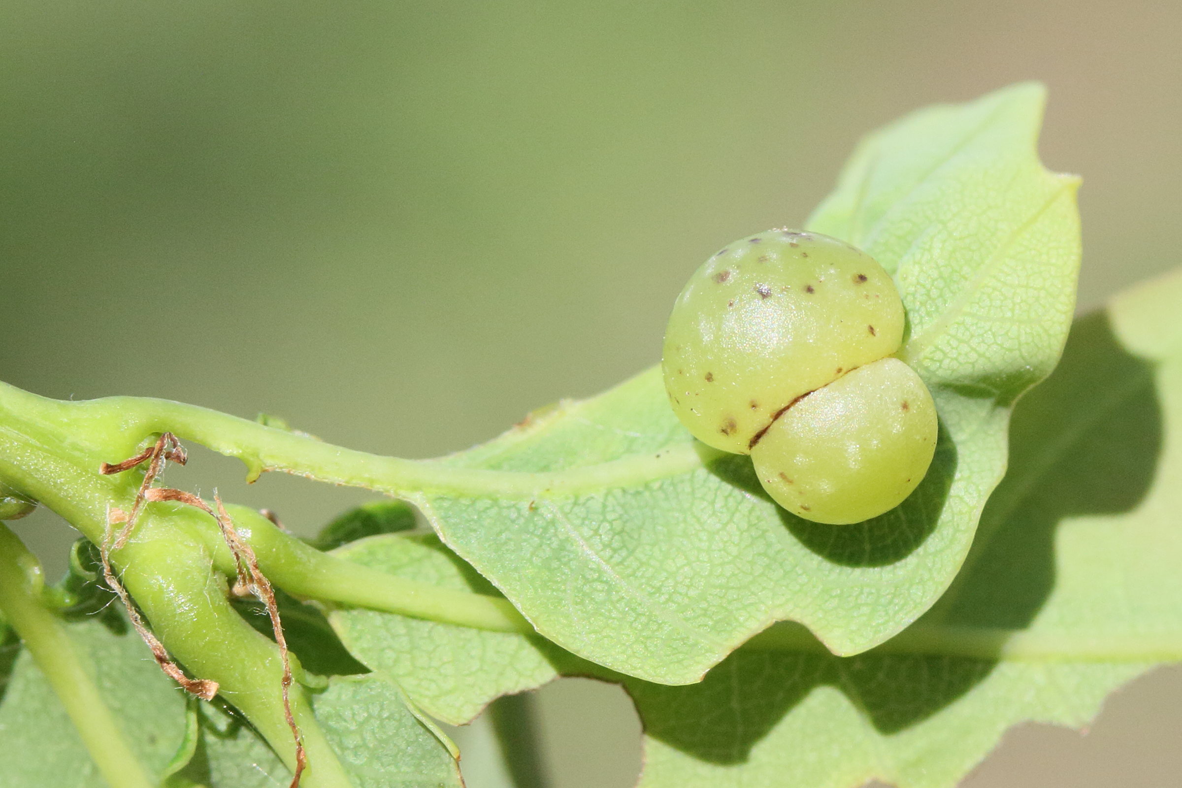
Galle lenticulaire du chêne, Galle du chêne en grain de raisin
- ANIMALIA
- Arthropodes
- Insectes
- Hyménoptères
- Cynipidés
- Cynips
- ANIMALIA
- Arthropoda
- Insecta
- Hymenoptera
- Cynipidae
- Neuroterus
Image fournie par
Milieu de vie
Terrestre -- Bois et forêts
Mode de vie
Hétérotrophe -- Libre, Hétérotrophe -- Parasite
Présence Nord Pas-de-Calais
Présent