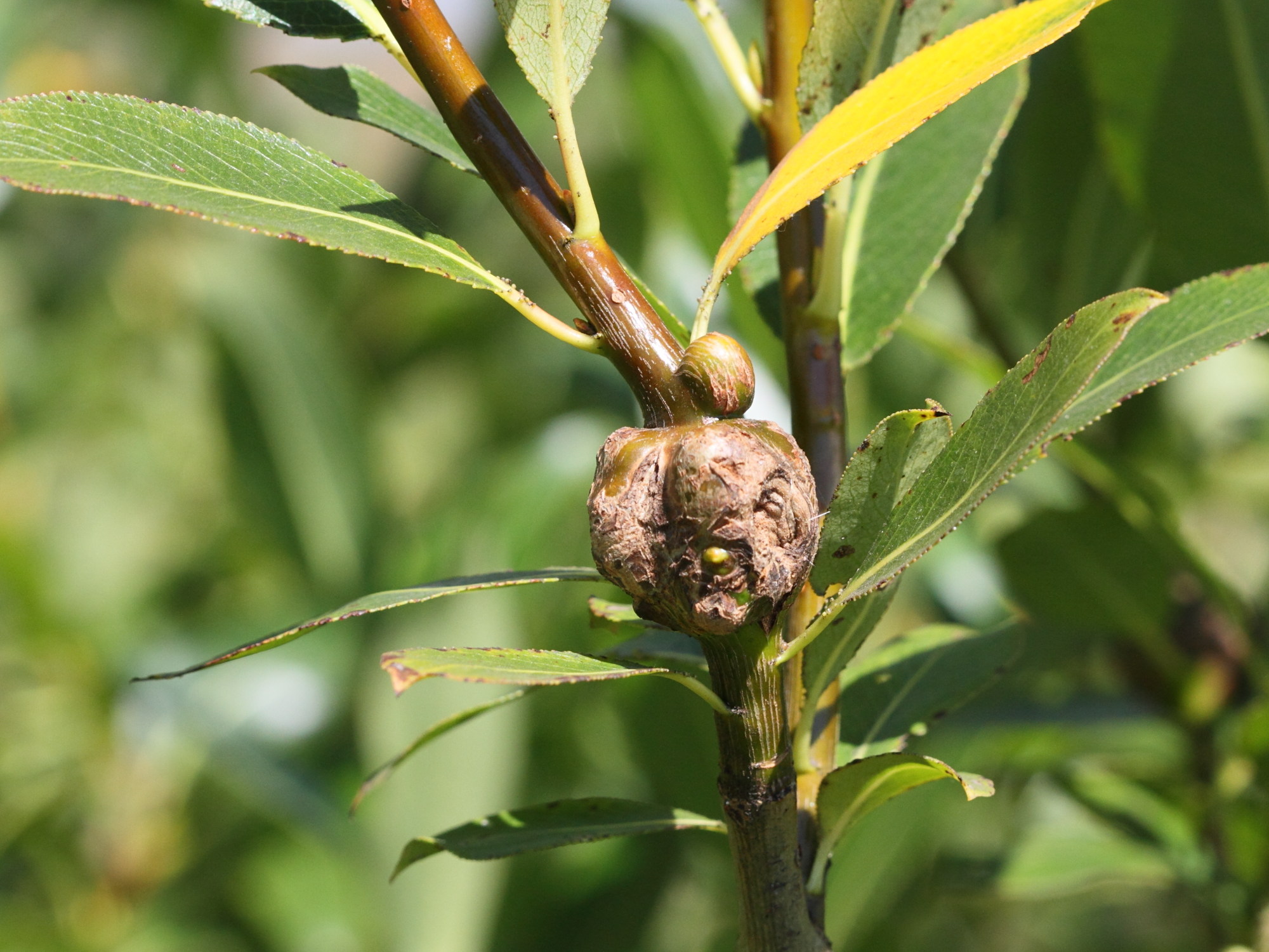
Rabdophaga salicis (Rabdophaga, Galle de la tige du saule)
ANIMALIA (ANIMALIA)
Arthropoda (Arthropodes)
Insecta (Insectes)
Diptera (Diptères)
Cecidomyiidae (Cécidomyiidés)
Rabdophaga (Rabdophaga)






