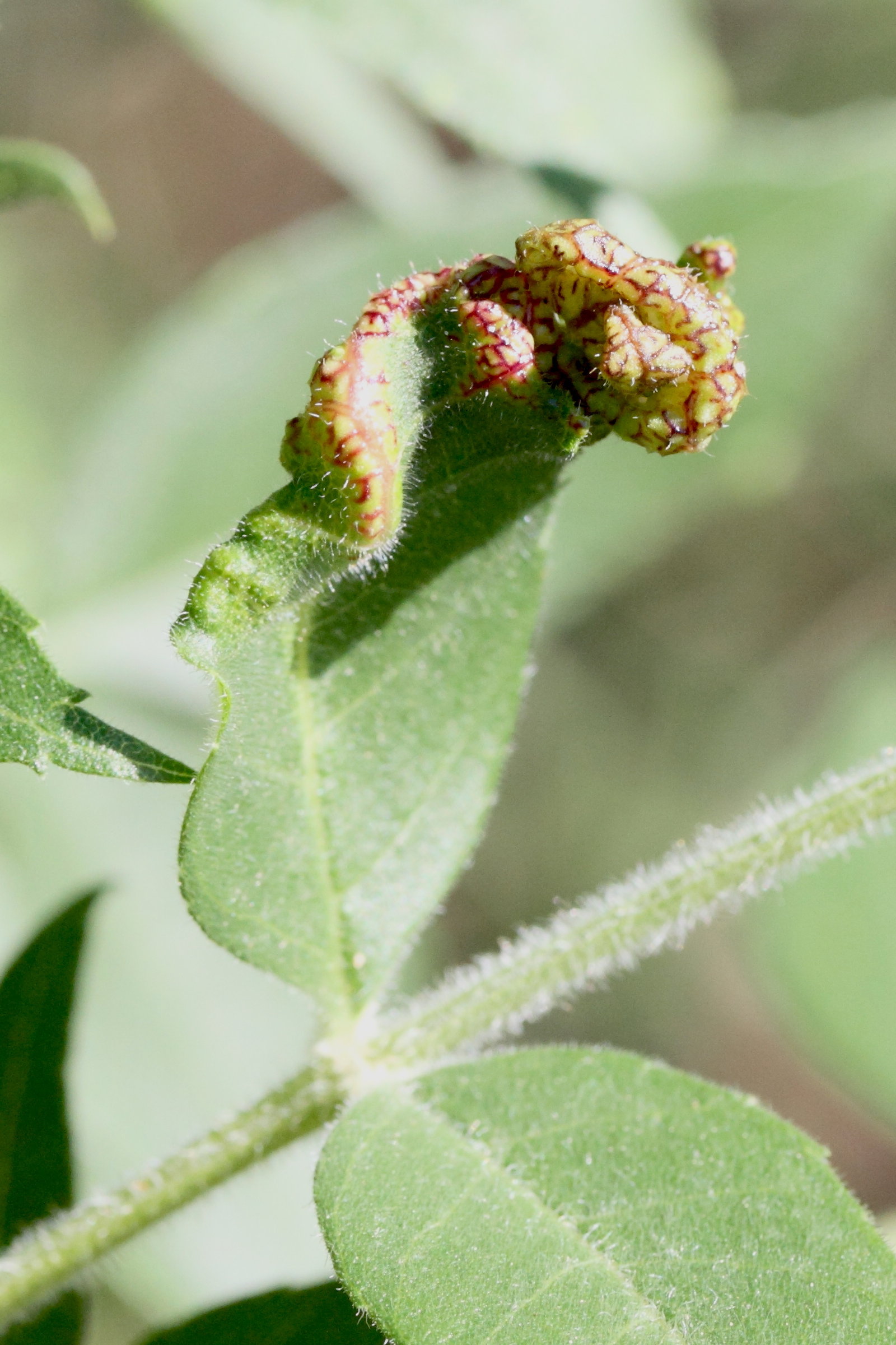
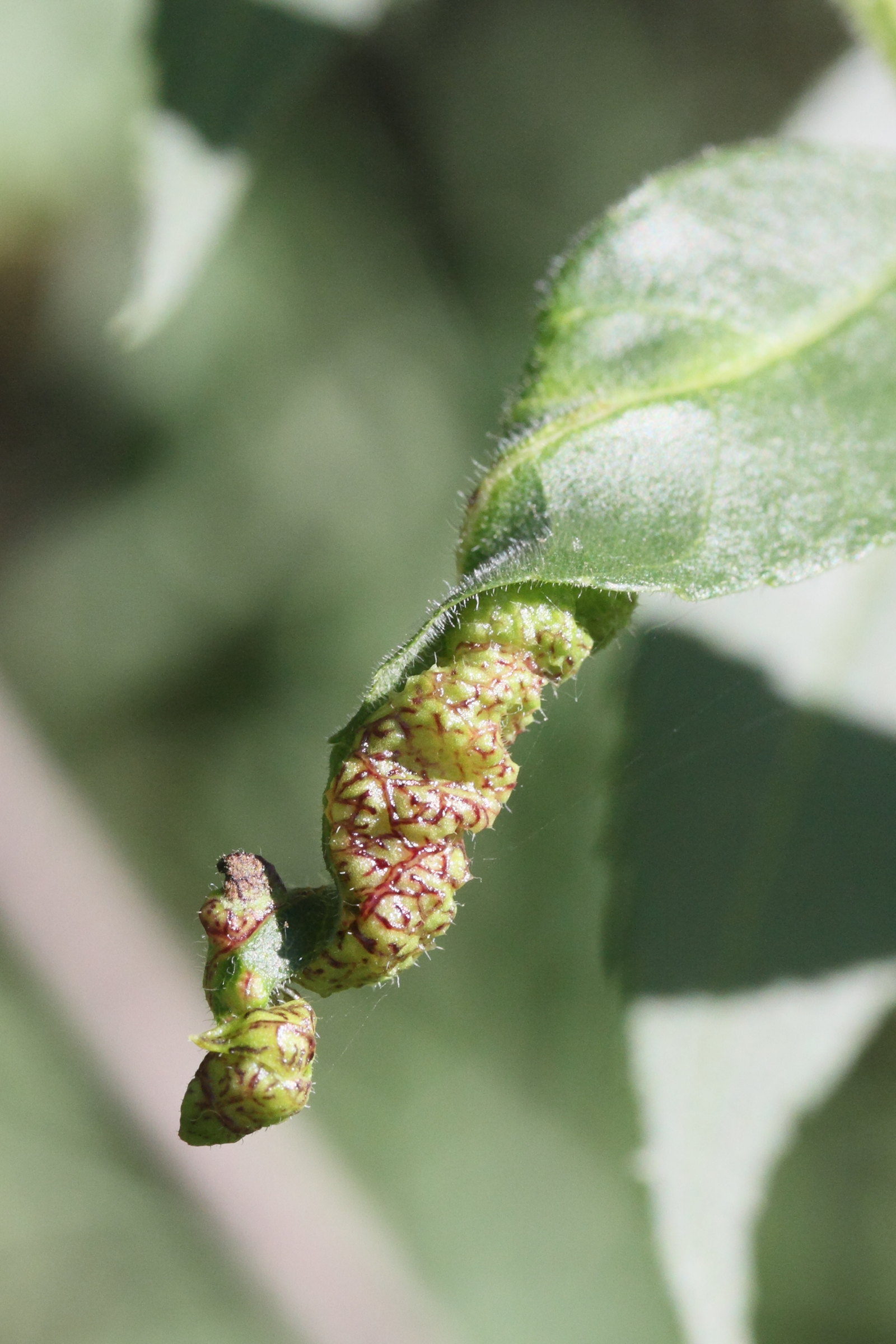
- induit une galle foliaire (très comparable à celle de P. fraxini, présent dans nos régions)
- photo prise en Bulgarie où se trouvent deux espèces : P. machinosus et P. meliphila, qui induisent toutes deux le même type de galle