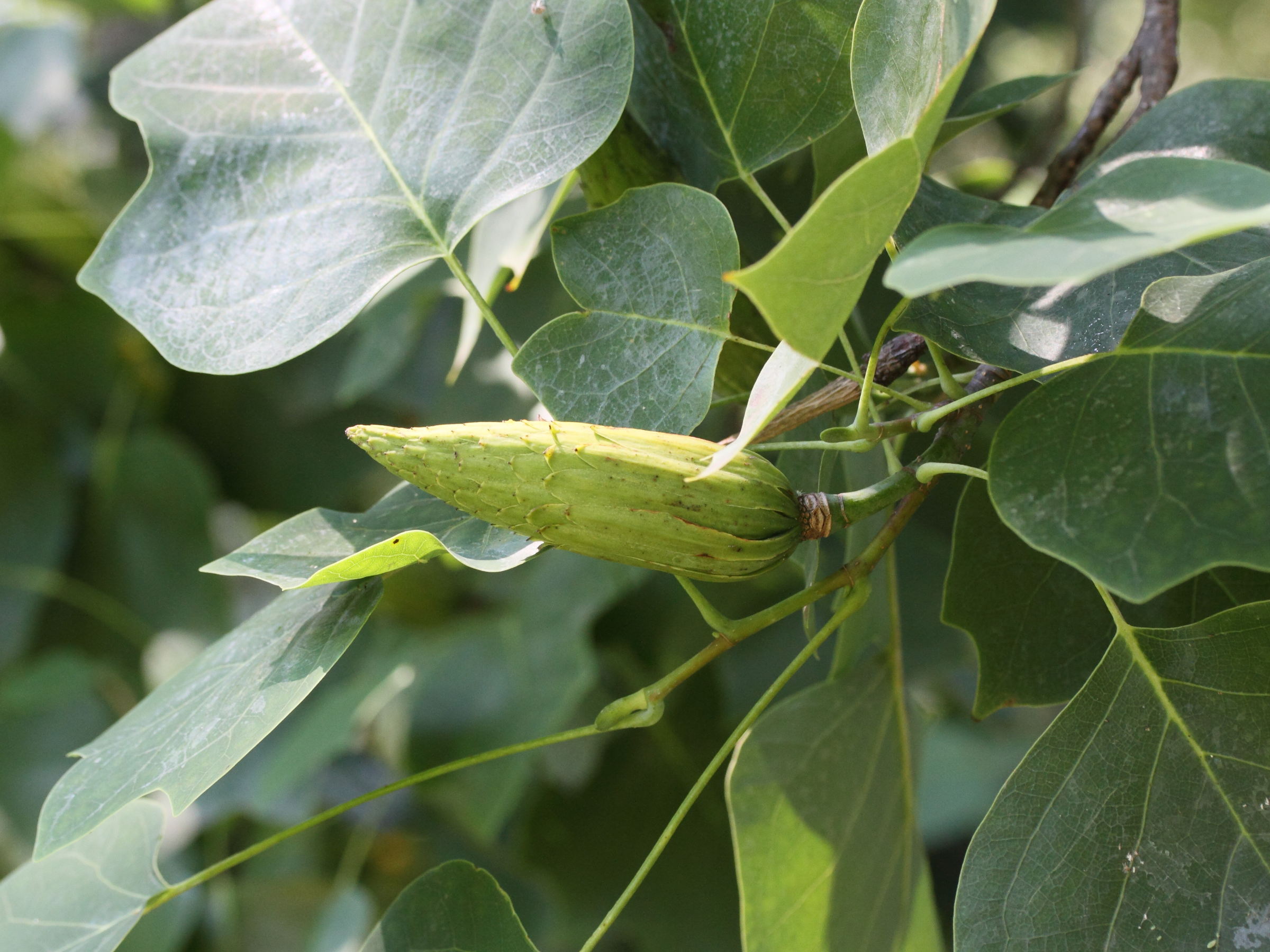
Liriodendron tulipifera (Tulipier de Virginie)
PLANTAE (PLANTAE)
Angiospermophyta (Angiospermes)
Magnoliidae (Magnoliidés)
Magnoliales (Magnoliales)
Magnoliaceae (Magnoliacées)
Liriodendron (Tulipier)










