Adenochlaena
- PLANTAE
- Angiospermes
- Eudicotylédones
- Malpighiales
- Euphorbiacées
- Adenochlaena
- PLANTAE
- Angiospermophyta
- Eudicotyledoneae
- Malpighiales
- Euphorbiaceae
- Adenochlaena
Image fournie par
Description
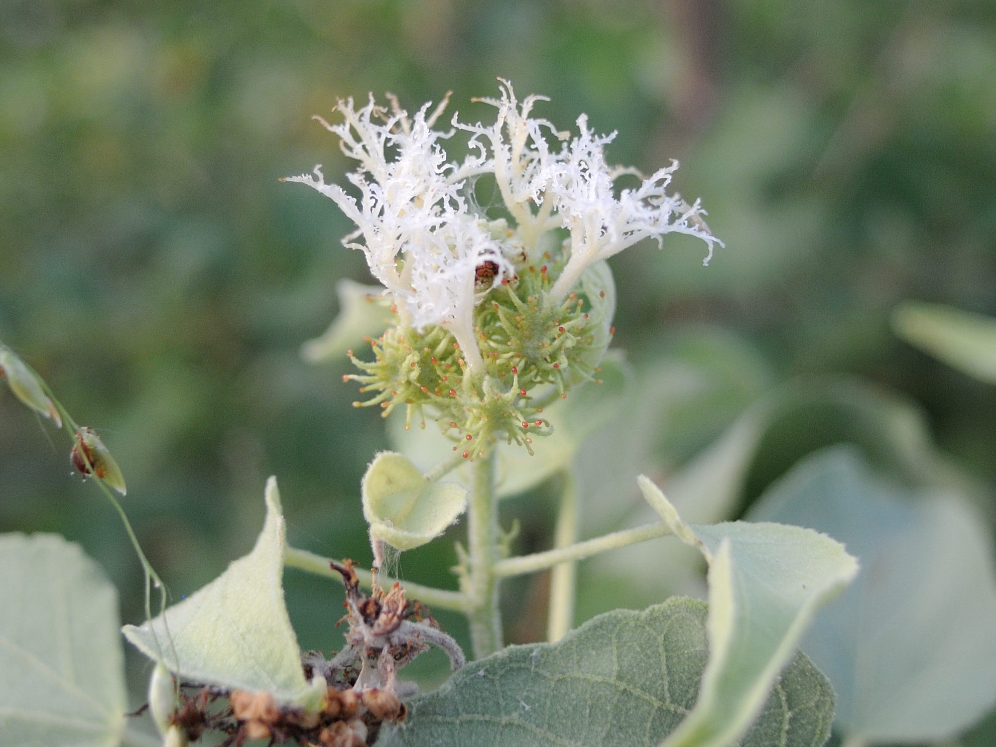
= Cephalocroton leucocephalus
- arbuste sarmenteux atteignant 4 m
- feuilles fines, mates dessus et dessous, un peu plus claires dessous
- nervures saillantes dessous
- corolle à tube verdâtre, pétales blancs
- fruits verts (capsules) portant de longs poils glanduleux
- Madagascar, Comores
Milieu de vie
Terrestre -- Taillis, fourrés, maquis et garrigues
Mode de vie
Autotrophe
Présence Nord Pas-de-Calais
Non présent