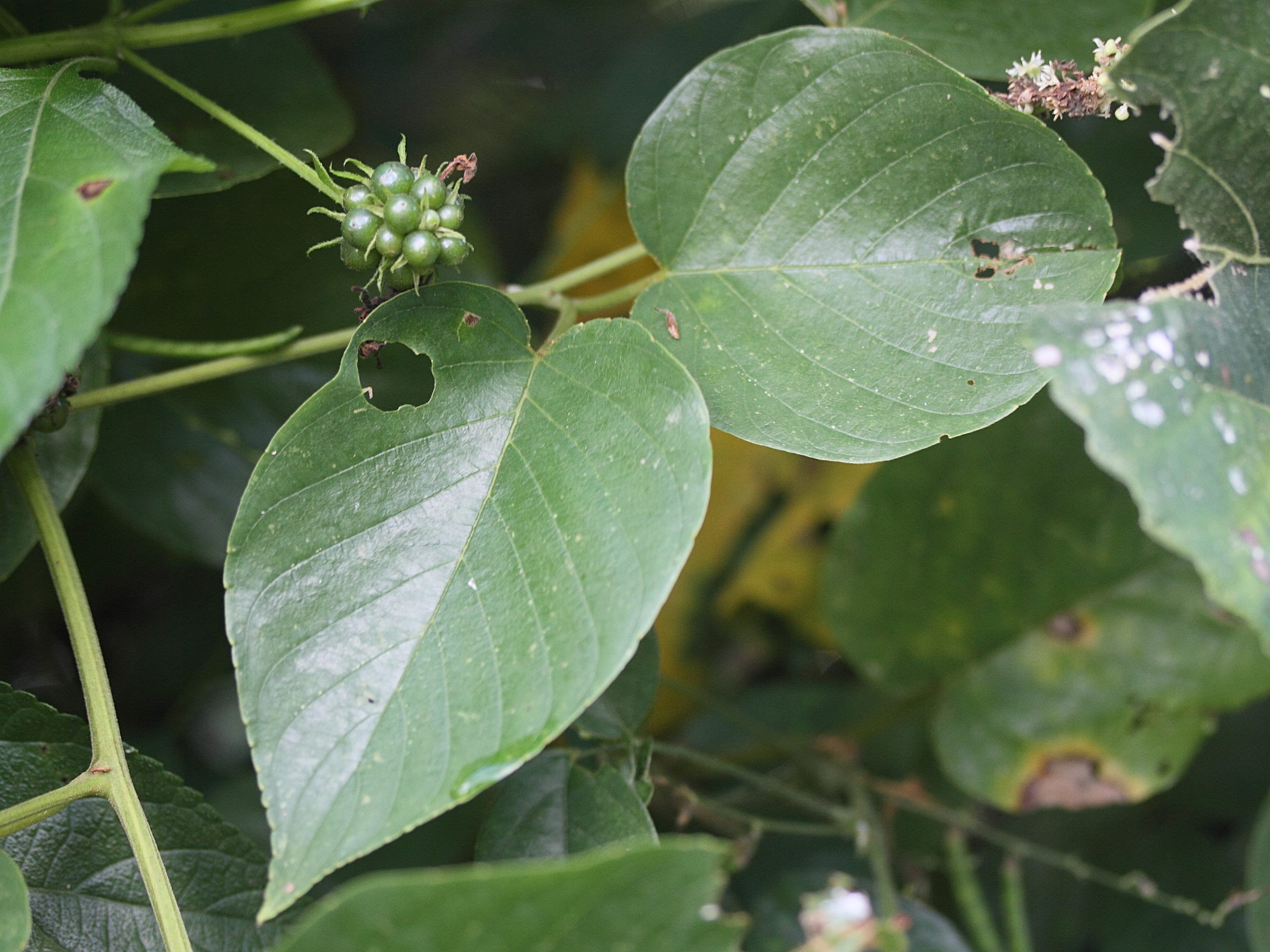
- liane ligneuse
- tiges vert foncé, finement pubescentes à villeuses, vrilles pubescentes
- feuilles alternes, ovales, pétiolées, nervure médiane, nervures secondaires et nervures tertiaires légèrement proéminentes ; marges dentelées ou presque entières
- inflorescence : panicules denses, terminaux
- fleurs pentamères
- fruit : capsule
- en bordure des forêts
- Nord de Madagascar, Comores
Photos prises à Mayotte
les fruits visibles sur la photo 4 sont ceux d'un Lantana camara