Bouleau d'Erman
- PLANTAE
- Angiospermes
- Eudicotylédones
- Fagales
- Bétulacées
- Bouleau
- PLANTAE
- Angiospermophyta
- Eudicotyledoneae
- Fagales
- Betulaceae
- Betula
Image fournie par
Description
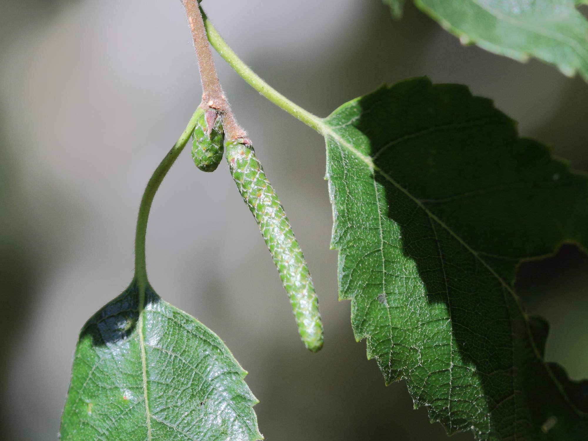
- espèce très variable ; atteint 20 m de haut
- écorce blanc-jaune rougeâtre, s'exfoliant
- feuilles ovales, effilées
- chatons femelles de 6 cm, jaune-brun, verticaux, ovales, aparaissant avec les feuilles
- originaire de l'Est asiatique (de la Corée au Japon et à la presqu'île de Sakhaline) ; planté (ornemental)
Milieu de vie
Terrestre -- Bois et forêts
Mode de vie
Autotrophe
Présence Nord Pas-de-Calais
Non présent