Bois d'oiseaux
- PLANTAE
- Angiospermes
- Eudicotylédones
- Malpighiales
- Euphorbiacées
- Claoxylon
- PLANTAE
- Angiospermophyta
- Eudicotyledoneae
- Malpighiales
- Euphorbiaceae
- Claoxylon
Image fournie par
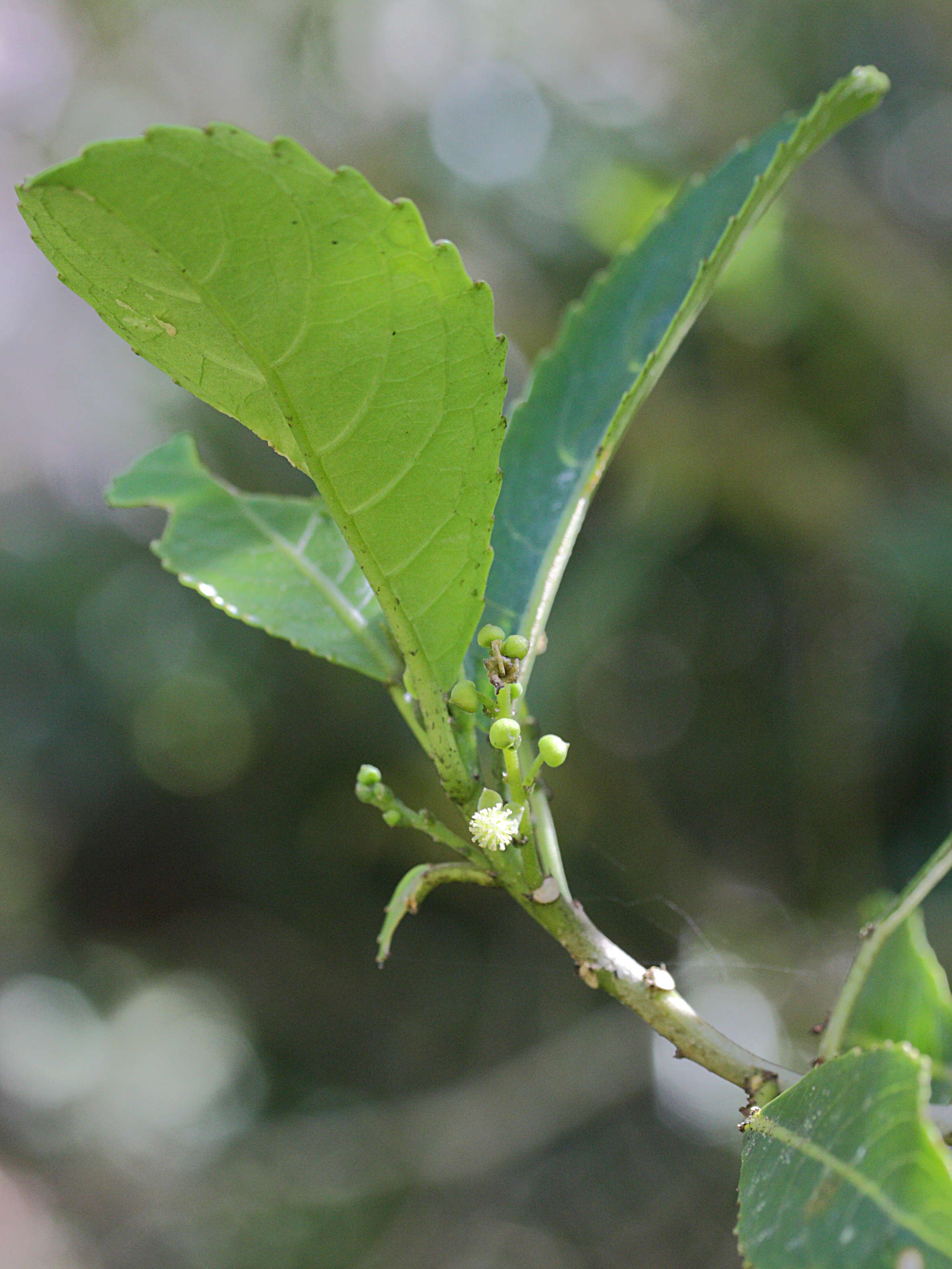
Description
- arbuste dioïque atteignant 6 m de haut
- feuilles à pubescence variable, marge crénelée
- inflorescences axillaires
- fleurs mâles à nombreuses étamines
- fleurs femelles globuleuses, trois stigmates
- fruits : capsules à trois coques
- forêts, entre 800 et 2000 m d'altitude
- endémique de la Réunion
Milieu de vie
Terrestre -- Bois et forêts
Mode de vie
Autotrophe
Présence Nord Pas-de-Calais
Non présent