Gommier urne
- PLANTAE
- Angiospermes
- Eudicotylédones
- Myrtales
- Myrtacées
- Eucalyptus
- PLANTAE
- Angiospermophyta
- Eudicotyledoneae
- Myrtales
- Myrtaceae
- Eucalyptus
Image fournie par
Description
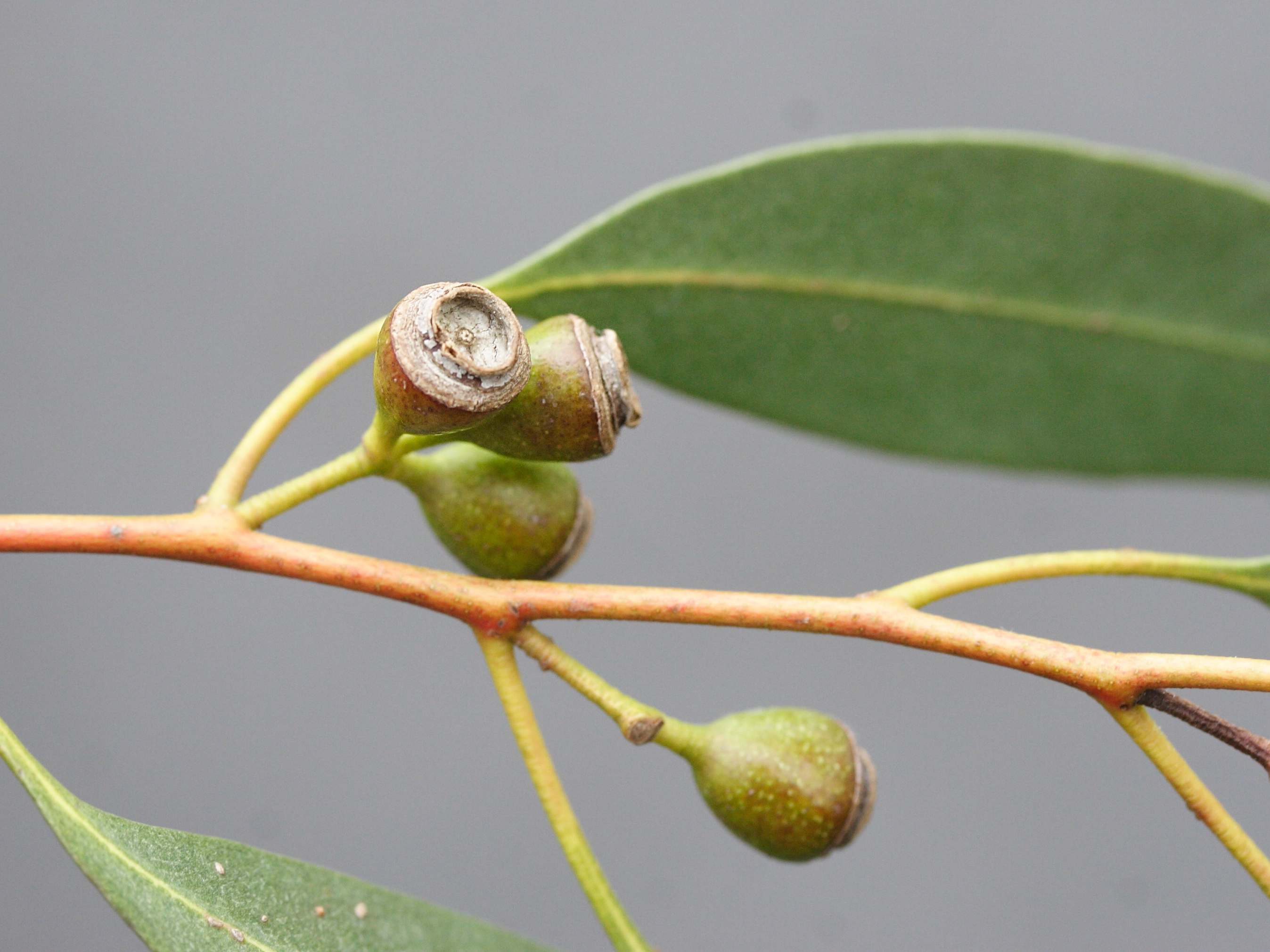
- arbre, 12 à 15 m de haut
- écorce lisse, blanche à marron-gris avec parfois des nuances rougeâtres
- feuilles juvéniles bleu-vert ; feuilles adultes vert à gris-vert, lancéolées (environ 8 cm x 2 cm)
- fleurs blanc-crème
- fruits : capsules en forme d'urne
- originaire de Tasmanie
Milieu de vie
Terrestre -- Bois et forêts
Mode de vie
Autotrophe
Présence Nord Pas-de-Calais
Non présent