Frêne blanc
- PLANTAE
- Angiospermes
- Eudicotylédones
- Lamiales
- Oléacées
- Frêne, Orne
- PLANTAE
- Angiospermophyta
- Eudicotyledoneae
- Lamiales
- Oleaceae
- Fraxinus
Image fournie par
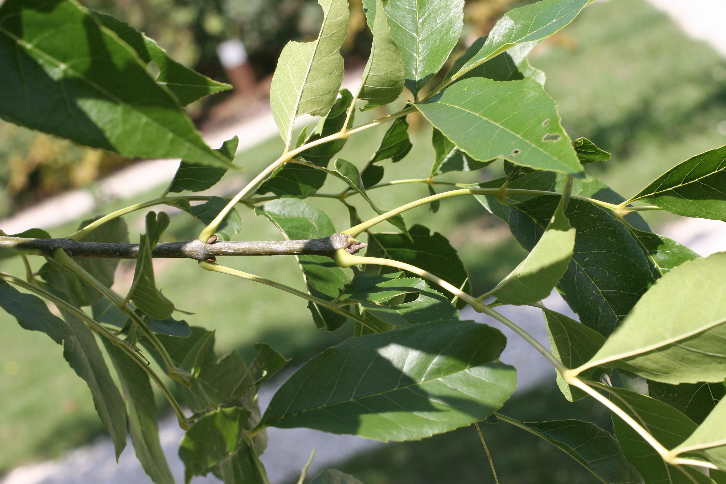
Description
- arbre à feuillage caduc et croissance rapide, pouvant atteindre 25 m
- feuilles pennées ; le feuillage devient jaune ou pourpre en automne
- les bourgeons ne sont pas noirs, contrairement à Fraxinus excelsior
- originaire de l'Est de l'Amérique du Nord
Milieu de vie
Terrestre -- Bois et forêts
Mode de vie
Autotrophe
Présence Nord Pas-de-Calais
Non présent