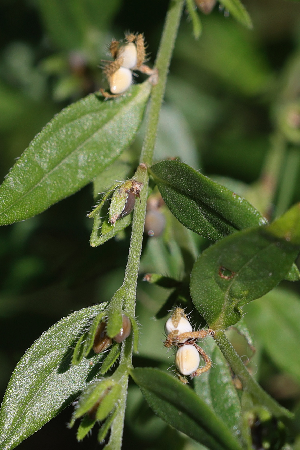
Lithospermum officinale (Grémil officinal, Herbe aux perles)
PLANTAE (PLANTAE)
Angiospermophyta (Angiospermes)
Eudicotyledoneae (Eudicotylédones)
Boraginales (Boraginales)
Boraginaceae (Boraginacées)
Lithospermum (Grémil)






