Poirier sauvage
- PLANTAE
- Angiospermes
- Eudicotylédones
- Rosales
- Rosacées
- Poirier
- PLANTAE
- Angiospermophyta
- Eudicotyledoneae
- Rosales
- Rosaceae
- Pyrus
Image fournie par
Description
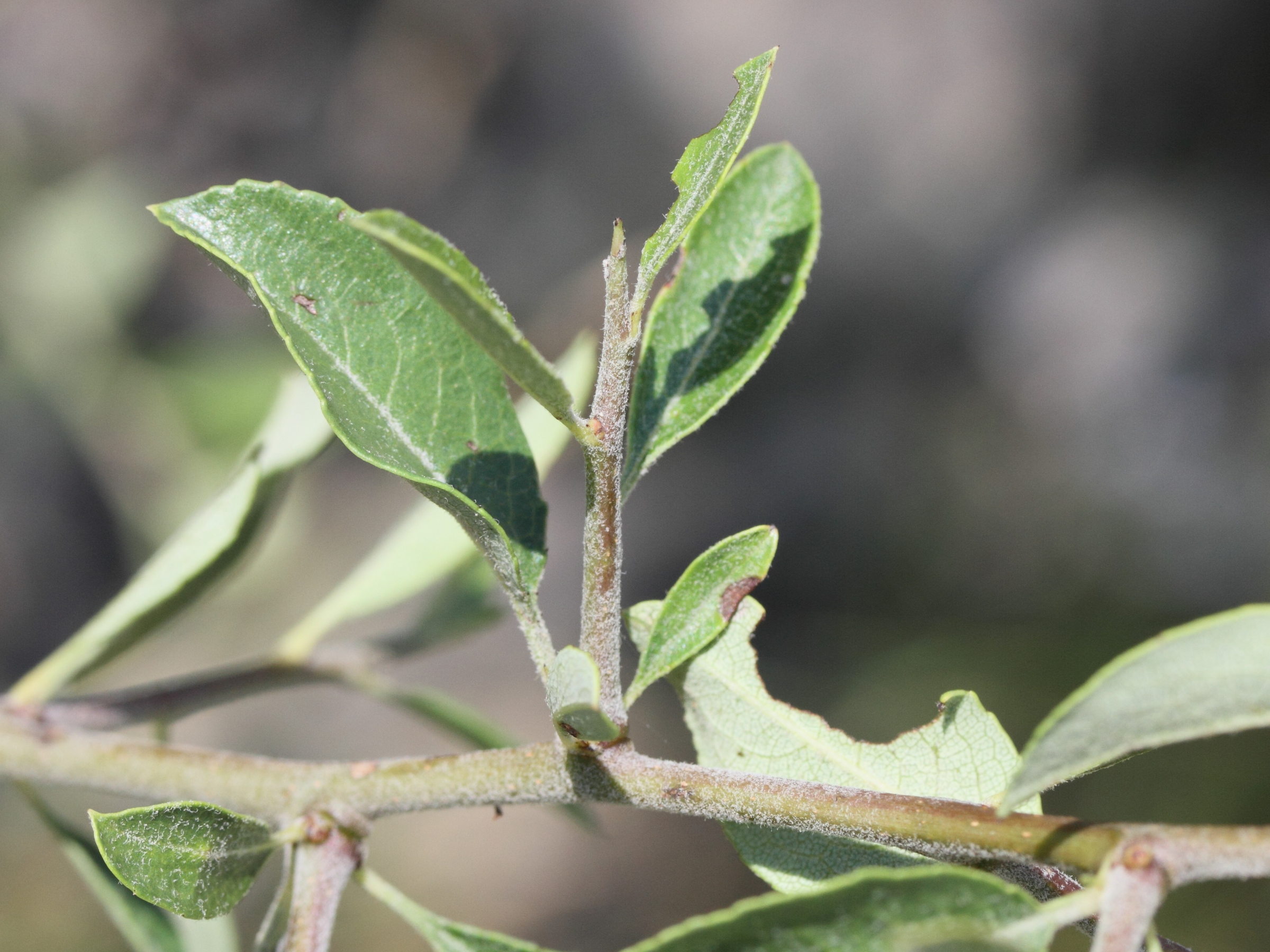
- arbre généralement épineux atteignant 20 m
- feuilles arrondies à ovales, finement dentées
- fleurs blanches en corymbe, styles libres, anthères rouges
- fruits subsphériques, durs
- jusqu'à 1700 m
Milieu de vie
Terrestre -- Bois et forêts, Terrestre -- Taillis, fourrés, maquis et garrigues
Mode de vie
Autotrophe
Présence Nord Pas-de-Calais
Non présent